Contact-mediated long-range intercellular communication
The research goal of the Eom lab is to discover the cellular and molecular mechanisms of long-range intercellular communication mediated by a novel signaling projection called airinemes.
Mechanisms underlying morphogenesis and pattern formation are one of the most critical questions in developmental biology. Cells acquire positional identities by communicating with cells of signaling center in a distance and interpret this information to form shape and pattern. Long-range signaling via morphogen diffusion is relatively well established. However, it is still controversial since this model may lack the necessary precision and reliability. Recently, the importance of other types of long-distance signaling modality utilizing direct contact through cellular projections has been emerging. These cellular projections are filopodia-like but considerably longer and play crucial signaling roles in various contexts. Nevertheless, the fundamental questions underlying the mechanisms of their regulation, delivery of signaling molecules, and targeting remain largely unexplored.



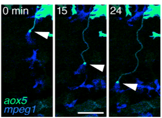
Figure 1. Adult zebrafish with black stripes and light interstripes (upper). Time-lapse frames show xanthoblast (aox5+, green) extend airineme and the vesicle (arrowhead) is associated with a macrophage (mpeg1+, blue) (lower).
We discovered a novel type of cellular projection-mediated signaling modality utilizing a distinct cellular projection, which we named “airinemes”. Airinemes extend up to ~250μm and last for seconds to hours depending on their target specificity. One interesting difference between airinemes and other cellular projection-mediated signaling is that airinemes have membrane-bound vesicles at their tips (Figure 1, arrowheads; referred to as airineme vesicles), which carry Delta ligands and possibly other signaling molecules. Airinemes are extended from xanthoblasts, undifferentiated yellow pigment cells, which play a critical role in stripe pigment pattern formation in zebrafish. We found that airinemes are indispensable for post-embryonic stripe formation through airineme dependent delivery of Delta ligand from xanthoblasts to target melanophores (another type of pigment cells form black strips). It has long been suggested that the long-distance signaling between melanophores and xanthophore lineages is mediated by diffusible factors, predicted by the reaction-diffusion model. Nevertheless, We propose that it is mediated by direct contact-mediated signaling through airinemes.
Strikingly, we discovered that macrophages pick up the airineme vesicles from the surface of xanthoblasts, pull and deposit them onto target melanophores where vesicles will later be phagocytosed by other macrophages. Macrophages are well-known innate immune cells that clear dead cells and pathogens. Our findings show that macrophages are a key player in long-range signaling by initiating the delivery of airineme vesicles as well as terminating them by phagocytosis during adult pigment pattern formation in zebrafish. Most recently, my lab has observed airineme-like projections from non-pigment cell types, thus it is possible that airineme/macrophage-mediated signaling could be a common mechanism in nature.

Figure 2. Various cell types that extend airineme-like protrusions.
Understanding the molecular mechanisms of macrophage-airineme interactions will unveil a novel nature of cellular projection-mediated signaling, which could open a new avenue for understanding the emerging roles of macrophages in cancer metastasis, and exploring the targeted delivery of therapeutic agents in cancers or other disease contexts.
Current Lab Projects
- Understanding the biology of airineme-mediated intercellular signaling and the subcellular structures of airinemes
- Mechanisms of airineme-macrophage interaction and target recognition
- Cellular protrusion-mediated intercellular signaling between stem cells in zebrafish skin and psoriatic skin disease models
- Mathematical modeling of airineme-mediated intercellular communication
- Airineme-mediated signaling in human skin organoids
- For more information, please contact dseom@uci.edu
Eom Lab Confocal Microscopes



